Rendering
3D-visualisering (perspektiv) av et planlagt rekkehus med fasade, balkonger og trapp.
Tilbygg og endring av tomannsbolig i Langetjønnveien 30, Kristiansand
📍 Langetjønnveien 32 , 4638 KRISTIANSAND S
Nøkkelinfo
- Sakstype
- Tilbygg
- Bygningstype
- Tomannsbolig
- Bruksareal
- 432 m²
- Boenheter
- 2
- Kommune
- Kristiansand
- Fylke
- Agder
- Gnr / Bnr
- 69 / 118
- Saksnummer
- 24/21851
- Fase
- Under behandling
Om byggesaken
Produkter og materialer
🧱 Tre og taktekking
Flatt tak på fasader Sør/Vest og Nord/Øst, saltak på Nord/Vest fasade
Taktekking og konstruksjon for flatt tak og saltak på tomannsboligen
Sanitærinstallasjoner, varme- og slukkeinstallasjoner for tomannsboligen
Gulvbelegg i boligene, sannsynligvis parkett og fliser i våtrom
🧱 Mur
Murarbeid for piper og eventuelle bærende konstruksjoner
🧱 Tre
Antall: 18
Totalt 18 fasadevinduer i tre, fordelt på ulike etasjer og fasader
Innredning og installasjoner for bad og våtrom
🧱 Betong
Betongkonstruksjoner i fundament og bærende elementer
🧱 Tre
Antall: 14
Totalt 14 dører, inkludert inngangsdører og terrassedører til uteareal
Ventilasjonsanlegg for boligene
🧱 Tre
Tømrerarbeid for trekonstruksjoner i boligene
🧱 Tre
Antall: 2
Terrasser på ca. 13,4 og 13,8 m²
Terrasser tilknyttet hver boenhet
Maling av innvendige og utvendige flater
Elektroinstallasjoner i boligene
🧱 Mur
Antall: 2
To piper i mur for oppvarming og ventilasjon
🧱 Tre
Trepanel på alle fasader
Trepanel som fasadekledning på tomannsboligen
Grunnarbeider, vann- og avløpsinstallasjoner i tiltaket
Antall: 2
To innvendige trapper mellom etasjer i tomannsboligen
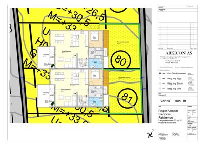
Plantegning
Rekkehus 432.3 m²
Etasje 0 147.8 m²
| Rom | Areal | Vinduer | Dører |
|---|---|---|---|
| Stue U01 | 10.0 m² | 0 | 1 |
| Alkove U02 | 6.3 m² | 0 | 0 |
| Bad U03 | 3.9 m² | 0 | 0 |
| Bad U04 | 8.2 m² | 0 | 0 |
| Entre U05 | 21.2 m² | 0 | 1 |
| Bod U06 | 5.3 m² | 0 | 1 |
| Vask U07 | 4.1 m² | 0 | 0 |
| Mediarom U08 | 10.9 m² | 0 | 0 |
| Stue U09 | 9.9 m² | 0 | 1 |
| Alkove U10 | 6.3 m² | 0 | 0 |
| Bad U11 | 4.1 m² | 0 | 0 |
| Bad U12 | 8.6 m² | 0 | 0 |
| Entre U13 | 20.9 m² | 0 | 1 |
| Bod U14 | 5.3 m² | 0 | 1 |
| Vask U15 | 4.2 m² | 0 | 0 |
| Mediarom U16 | 10.2 m² | 0 | 0 |
Etasje 1 284.5 m²
| Rom | Areal | Vinduer | Dører |
|---|---|---|---|
| Stue/kjøkken 101 | 49.3 m² | 2 | 2 |
| Sov 102 | 8.9 m² | 1 | 1 |
| Walk-in 103 | 6.4 m² | 0 | 1 |
| Bad 104 | 4.7 m² | 0 | 1 |
| Terrasse 105 | 13.4 m² | 0 | 1 |
| Stue/kjøkken 201 | 49.3 m² | 2 | 2 |
| Sov 202 | 9.0 m² | 1 | 1 |
| Walk-in 203 | 6.4 m² | 0 | 1 |
| Bad 204 | 4.8 m² | 0 | 1 |
| Terrasse 205 | 13.8 m² | 0 | 1 |
Etasje 2 0.0 m²
| Rom | Areal | Vinduer | Dører |
|---|
Etasje 3 0.0 m²
| Rom | Areal | Vinduer | Dører |
|---|
Etasje 4 0.0 m²
| Rom | Areal | Vinduer | Dører |
|---|
Etasje 5 0.0 m²
| Rom | Areal | Vinduer | Dører |
|---|
Etasje 6 0.0 m²
| Rom | Areal | Vinduer | Dører |
|---|
Etasje 7 0.0 m²
| Rom | Areal | Vinduer | Dører |
|---|
Etasje 8 0.0 m²
| Rom | Areal | Vinduer | Dører |
|---|
Etasje 9 0.0 m²
| Rom | Areal | Vinduer | Dører |
|---|
Etasje 10 0.0 m²
| Rom | Areal | Vinduer | Dører |
|---|
Etasje 11 0.0 m²
| Rom | Areal | Vinduer | Dører |
|---|
Etasje 12 0.0 m²
| Rom | Areal | Vinduer | Dører |
|---|
Etasje 13 0.0 m²
| Rom | Areal | Vinduer | Dører |
|---|
Etasje 14 0.0 m²
| Rom | Areal | Vinduer | Dører |
|---|
Etasje 15 0.0 m²
| Rom | Areal | Vinduer | Dører |
|---|
Etasje 16 0.0 m²
| Rom | Areal | Vinduer | Dører |
|---|
Etasje 17 0.0 m²
| Rom | Areal | Vinduer | Dører |
|---|
Etasje 18 0.0 m²
| Rom | Areal | Vinduer | Dører |
|---|
Etasje 19 0.0 m²
| Rom | Areal | Vinduer | Dører |
|---|
Etasje 20 0.0 m²
| Rom | Areal | Vinduer | Dører |
|---|
Etasje 21 0.0 m²
| Rom | Areal | Vinduer | Dører |
|---|
Etasje 22 0.0 m²
| Rom | Areal | Vinduer | Dører |
|---|
Etasje 23 0.0 m²
| Rom | Areal | Vinduer | Dører |
|---|
Etasje 24 0.0 m²
| Rom | Areal | Vinduer | Dører |
|---|
Etasje 25 0.0 m²
| Rom | Areal | Vinduer | Dører |
|---|
Etasje 26 0.0 m²
| Rom | Areal | Vinduer | Dører |
|---|
Etasje 27 0.0 m²
| Rom | Areal | Vinduer | Dører |
|---|
Etasje 28 0.0 m²
| Rom | Areal | Vinduer | Dører |
|---|
Etasje 29 0.0 m²
| Rom | Areal | Vinduer | Dører |
|---|
Etasje 30 0.0 m²
| Rom | Areal | Vinduer | Dører |
|---|
Etasje 31 0.0 m²
| Rom | Areal | Vinduer | Dører |
|---|
Etasje 32 0.0 m²
| Rom | Areal | Vinduer | Dører |
|---|
Etasje 33 0.0 m²
| Rom | Areal | Vinduer | Dører |
|---|
Etasje 34 0.0 m²
| Rom | Areal | Vinduer | Dører |
|---|
Etasje 35 0.0 m²
| Rom | Areal | Vinduer | Dører |
|---|
Etasje 36 0.0 m²
| Rom | Areal | Vinduer | Dører |
|---|
Etasje 37 0.0 m²
| Rom | Areal | Vinduer | Dører |
|---|
Etasje 38 0.0 m²
| Rom | Areal | Vinduer | Dører |
|---|
Etasje 39 0.0 m²
| Rom | Areal | Vinduer | Dører |
|---|
Etasje 40 0.0 m²
| Rom | Areal | Vinduer | Dører |
|---|
Etasje 41 0.0 m²
| Rom | Areal | Vinduer | Dører |
|---|
Etasje 42 0.0 m²
| Rom | Areal | Vinduer | Dører |
|---|
Etasje 43 0.0 m²
| Rom | Areal | Vinduer | Dører |
|---|
Etasje 44 0.0 m²
| Rom | Areal | Vinduer | Dører |
|---|
Etasje 45 0.0 m²
| Rom | Areal | Vinduer | Dører |
|---|
Etasje 46 0.0 m²
| Rom | Areal | Vinduer | Dører |
|---|
Etasje 47 0.0 m²
| Rom | Areal | Vinduer | Dører |
|---|
Etasje 48 0.0 m²
| Rom | Areal | Vinduer | Dører |
|---|
Etasje 49 0.0 m²
| Rom | Areal | Vinduer | Dører |
|---|
Etasje 50 0.0 m²
| Rom | Areal | Vinduer | Dører |
|---|
Etasje 51 0.0 m²
| Rom | Areal | Vinduer | Dører |
|---|
Etasje 52 0.0 m²
| Rom | Areal | Vinduer | Dører |
|---|
Etasje 53 0.0 m²
| Rom | Areal | Vinduer | Dører |
|---|
Etasje 54 0.0 m²
| Rom | Areal | Vinduer | Dører |
|---|
Etasje 55 0.0 m²
| Rom | Areal | Vinduer | Dører |
|---|
Etasje 56 0.0 m²
| Rom | Areal | Vinduer | Dører |
|---|
Etasje 57 0.0 m²
| Rom | Areal | Vinduer | Dører |
|---|
Etasje 58 0.0 m²
| Rom | Areal | Vinduer | Dører |
|---|
Etasje 59 0.0 m²
| Rom | Areal | Vinduer | Dører |
|---|
Etasje 60 0.0 m²
| Rom | Areal | Vinduer | Dører |
|---|
Etasje 61 0.0 m²
| Rom | Areal | Vinduer | Dører |
|---|
Etasje 62 0.0 m²
| Rom | Areal | Vinduer | Dører |
|---|
Etasje 63 0.0 m²
| Rom | Areal | Vinduer | Dører |
|---|
Etasje 64 0.0 m²
| Rom | Areal | Vinduer | Dører |
|---|
Etasje 65 0.0 m²
| Rom | Areal | Vinduer | Dører |
|---|
Etasje 66 0.0 m²
| Rom | Areal | Vinduer | Dører |
|---|
Etasje 67 0.0 m²
| Rom | Areal | Vinduer | Dører |
|---|
Etasje 68 0.0 m²
| Rom | Areal | Vinduer | Dører |
|---|
Etasje 69 0.0 m²
| Rom | Areal | Vinduer | Dører |
|---|
Etasje 70 0.0 m²
| Rom | Areal | Vinduer | Dører |
|---|
Etasje 71 0.0 m²
| Rom | Areal | Vinduer | Dører |
|---|
Etasje 72 0.0 m²
| Rom | Areal | Vinduer | Dører |
|---|
Etasje 73 0.0 m²
| Rom | Areal | Vinduer | Dører |
|---|
Etasje 74 0.0 m²
| Rom | Areal | Vinduer | Dører |
|---|
Etasje 75 0.0 m²
| Rom | Areal | Vinduer | Dører |
|---|
Etasje 76 0.0 m²
| Rom | Areal | Vinduer | Dører |
|---|
Etasje 77 0.0 m²
| Rom | Areal | Vinduer | Dører |
|---|
Etasje 78 0.0 m²
| Rom | Areal | Vinduer | Dører |
|---|
Etasje 79 0.0 m²
| Rom | Areal | Vinduer | Dører |
|---|
Etasje 80 0.0 m²
| Rom | Areal | Vinduer | Dører |
|---|
Etasje 81 0.0 m²
| Rom | Areal | Vinduer | Dører |
|---|
Etasje 82 0.0 m²
| Rom | Areal | Vinduer | Dører |
|---|
Etasje 83 0.0 m²
| Rom | Areal | Vinduer | Dører |
|---|
Etasje 84 0.0 m²
| Rom | Areal | Vinduer | Dører |
|---|
Etasje 85 0.0 m²
| Rom | Areal | Vinduer | Dører |
|---|
Etasje 86 0.0 m²
| Rom | Areal | Vinduer | Dører |
|---|
Etasje 87 0.0 m²
| Rom | Areal | Vinduer | Dører |
|---|
Etasje 88 0.0 m²
| Rom | Areal | Vinduer | Dører |
|---|
Etasje 89 0.0 m²
| Rom | Areal | Vinduer | Dører |
|---|
Etasje 90 0.0 m²
| Rom | Areal | Vinduer | Dører |
|---|
Etasje 91 0.0 m²
| Rom | Areal | Vinduer | Dører |
|---|
Etasje 92 0.0 m²
| Rom | Areal | Vinduer | Dører |
|---|
Etasje 93 0.0 m²
| Rom | Areal | Vinduer | Dører |
|---|
Etasje 94 0.0 m²
| Rom | Areal | Vinduer | Dører |
|---|
Etasje 95 0.0 m²
| Rom | Areal | Vinduer | Dører |
|---|
Etasje 96 0.0 m²
| Rom | Areal | Vinduer | Dører |
|---|
Etasje 97 0.0 m²
| Rom | Areal | Vinduer | Dører |
|---|
Etasje 98 0.0 m²
| Rom | Areal | Vinduer | Dører |
|---|
Etasje 99 0.0 m²
| Rom | Areal | Vinduer | Dører |
|---|
Etasje 100 0.0 m²
| Rom | Areal | Vinduer | Dører |
|---|
Etasje 101 0.0 m²
| Rom | Areal | Vinduer | Dører |
|---|
Etasje 102 0.0 m²
| Rom | Areal | Vinduer | Dører |
|---|
Etasje 103 0.0 m²
| Rom | Areal | Vinduer | Dører |
|---|
Etasje 104 0.0 m²
| Rom | Areal | Vinduer | Dører |
|---|
Etasje 105 0.0 m²
| Rom | Areal | Vinduer | Dører |
|---|
Etasje 106 0.0 m²
| Rom | Areal | Vinduer | Dører |
|---|
Etasje 107 0.0 m²
| Rom | Areal | Vinduer | Dører |
|---|
Etasje 108 0.0 m²
| Rom | Areal | Vinduer | Dører |
|---|
Etasje 109 0.0 m²
| Rom | Areal | Vinduer | Dører |
|---|
Etasje 110 0.0 m²
| Rom | Areal | Vinduer | Dører |
|---|
Etasje 111 0.0 m²
| Rom | Areal | Vinduer | Dører |
|---|
Etasje 112 0.0 m²
| Rom | Areal | Vinduer | Dører |
|---|
Etasje 113 0.0 m²
| Rom | Areal | Vinduer | Dører |
|---|
Etasje 114 0.0 m²
| Rom | Areal | Vinduer | Dører |
|---|
Etasje 115 0.0 m²
| Rom | Areal | Vinduer | Dører |
|---|
Etasje 116 0.0 m²
| Rom | Areal | Vinduer | Dører |
|---|
Etasje 117 0.0 m²
| Rom | Areal | Vinduer | Dører |
|---|
Etasje 118 0.0 m²
| Rom | Areal | Vinduer | Dører |
|---|
Etasje 119 0.0 m²
| Rom | Areal | Vinduer | Dører |
|---|
Etasje 120 0.0 m²
| Rom | Areal | Vinduer | Dører |
|---|
Etasje 121 0.0 m²
| Rom | Areal | Vinduer | Dører |
|---|
Etasje 122 0.0 m²
| Rom | Areal | Vinduer | Dører |
|---|
Etasje 123 0.0 m²
| Rom | Areal | Vinduer | Dører |
|---|
Etasje 124 0.0 m²
| Rom | Areal | Vinduer | Dører |
|---|
Etasje 125 0.0 m²
| Rom | Areal | Vinduer | Dører |
|---|
Etasje 126 0.0 m²
| Rom | Areal | Vinduer | Dører |
|---|
Etasje 127 0.0 m²
| Rom | Areal | Vinduer | Dører |
|---|
Etasje 128 0.0 m²
| Rom | Areal | Vinduer | Dører |
|---|
Etasje 129 0.0 m²
| Rom | Areal | Vinduer | Dører |
|---|
Etasje 130 0.0 m²
| Rom | Areal | Vinduer | Dører |
|---|
Etasje 131 0.0 m²
| Rom | Areal | Vinduer | Dører |
|---|
Etasje 132 0.0 m²
| Rom | Areal | Vinduer | Dører |
|---|
Etasje 133 0.0 m²
| Rom | Areal | Vinduer | Dører |
|---|
Etasje 134 0.0 m²
| Rom | Areal | Vinduer | Dører |
|---|
Etasje 135 0.0 m²
| Rom | Areal | Vinduer | Dører |
|---|
Etasje 136 0.0 m²
| Rom | Areal | Vinduer | Dører |
|---|
Etasje 137 0.0 m²
| Rom | Areal | Vinduer | Dører |
|---|
Etasje 138 0.0 m²
| Rom | Areal | Vinduer | Dører |
|---|
Etasje 139 0.0 m²
| Rom | Areal | Vinduer | Dører |
|---|
Etasje 140 0.0 m²
| Rom | Areal | Vinduer | Dører |
|---|
Etasje 141 0.0 m²
| Rom | Areal | Vinduer | Dører |
|---|
Etasje 142 0.0 m²
| Rom | Areal | Vinduer | Dører |
|---|
Etasje 143 0.0 m²
| Rom | Areal | Vinduer | Dører |
|---|
Etasje 144 0.0 m²
| Rom | Areal | Vinduer | Dører |
|---|
Etasje 145 0.0 m²
| Rom | Areal | Vinduer | Dører |
|---|
Etasje 146 0.0 m²
| Rom | Areal | Vinduer | Dører |
|---|
Etasje 147 0.0 m²
| Rom | Areal | Vinduer | Dører |
|---|
Fasader
Rekkehus
- Materiale
- Tre
- Taktype
- Flatt tak
- Vinduer
- 10
- Dører
- 4
- Synlige etasjer
- 3
- Materiale
- Tre
- Taktype
- Flatt tak
- Vinduer
- 6
- Dører
- 2
- Synlige etasjer
- 2
- Materiale
- Tre
- Taktype
- Saltak
- Vinduer
- 0
- Dører
- 1
- Synlige etasjer
- 2