Alle byggesaker 7543 treff

Fotografi av en eksisterende hvit villa med en utvendig terrasse, sett fra siden. Bildet inneholder håndskrevne notater og tegninger som illustrerer en plan for takkonstruksjon (bjelkelag) og takdekking.
VerticalExtension Enebolig

Takoverbygg på terrasse i Lissheimsvegen 43

Ny takoverbygg på eksisterende terrasse ved enebolig i Lissheimsvegen 43. Overbygget får et bruksareal (BRA) og bebygd …

πŸ“ Lissheimsvegen 43 Voss
3D-visualisering (rendering) av et nytt takoverbygg og en eksisterende vognhall sett fra to ulike perspektiver.
Extension Other

Nytt takoverbygg til vognskjul i Lippestadveien 112

Nytt takoverbygg på 47,9 m² bygges langs den nordlige langsiden av et eksisterende vognskjul på landbrukseiendommen i L…

πŸ“ Lippestadveien 112 Indre Østfold
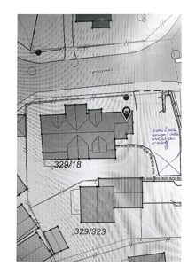
Situasjonsplan som viser tomtene 329/18 og 329/323, nabobebyggelser, vei (Vandugveien) og håndskrevne notater om garasjeanlegg.
NewConstruction Garasje

Oppføring av eldre garasje i Vandugveien 42, Mysen

Ny frittstående eldre garasje skal oppføres på eiendommen Vandugveien 42 i Mysen. Garasjen er planlagt plassert med en …

πŸ“ Vandugveien 42 Indre Østfold
En håndtegnet snittegning som viser bygningens vertikale oppbygning med kjeller, 1. etasje, 2. etasje og loft. Tegningen inkluderer plassering av ovner, feieluke og soltuke.
Rehabilitation Other

Rehabilitering av skorstein i Haugtomtveien 18, Askim

Rehabilitering av eksisterende skorstein i en horisontaldelt tomannsbolig etter pipebrann. Tiltaket omfatter innsetting…

πŸ“ Haugtomtveien 18 Indre Østfold
Flyfoto som viser en marina med båtplasser, en bygning, og omgivende arealer. Bildet er merket som 'Figur 2' og 'Figur 3' og viser plassering av installasjoner og tidligere drivhus.
NewConstruction Leilighetsbygg

Boligbygg i 3-4 etasjer med p-kjeller i Smidsrødveien 171

Prosjektet omfatter oppføring av to boligbygg med til sammen 38 leiligheter fordelt på 3 og 4 etasjer over en felles un…

πŸ“ Smidsrødveien 171A Færder
Fasadetegning som viser bygningens vestside med eksisterende og nye elementer markert.
VerticalExtension Enebolig

Påbygg og fasadeendring på enebolig, Ytre Skårhaug 6

Påbygg over eksisterende garasje med flatt tak og ca. 3,0 m gesimshøyde over dekke på garasjen, samt utvidelse av stued…

πŸ“ Ytre Skårhaug 6 Stad
Fasadetegning som viser bygningens utseende sett fra nord og vest med mål og detaljer.
Extension Offentlig

Montering av solcelleanlegg på Eid videregående skole, Sophus Lie-vegen 3

Solcelleanlegget består av montering av totalt 1130 solcellepaneler fordelt på flere takflater på Eid videregående skol…

πŸ“ Sophus Lie-vegen 1 Stad
🏗️
Extension Other

Oppføring av brannførebygg i Vestkappvegen 1172

Ny oppføring av et brannførebygg ved eiendommen i Vestkappvegen 1172. Bygget skal fungere som en brannsikringstiltak, s…

πŸ“ Vestkappvegen 1172 Stad
Håndtegnet 3D-visualisering (skisse) av en bygning sett fra en vinkel, med håndskrevne mål og datoer.
ChangeOfUse Enebolig

Bruksendring av loft og oppdatering i enebolig, Parkveien 15

Bruksendring av loftsetasjen i en eksisterende enebolig på Parkveien 15, Holmestrand, fra tilleggsdel til hoveddel. Lof…

πŸ“ Parkveien 15 Holmestrand
Kartutsnitt (flyfoto) fra kommunekart.com som viser eiendom med påteikna plassering av nordre skorstein.
Rehabilitation Other

Rehabilitering av skorstein i Remmedalsvegen 401

Rehabilitering av eksisterende skorstein i en bolig på Remmedalsvegen 401 med nedsenking av nye Schiedel Prima Plus stå…

πŸ“ Remmedalsvegen 401 Stad
Fotografi av en byggeplass som viser en ferdigstilt takkonstruksjon i tre med stålskelett, sett fra en vinkel mot en snødekt fjellbakke.
NewConstruction Fritidsbolig

Oppføring av anneks og støttemurer i Gamlebøvegen 49, Valldal

Ny oppføring av anneks på ca. 26,5 m² tilknyttet fritidsbolig på eiendommen Gamlebøvegen 49 i Lingåsen hyttefelt. Bygge…

πŸ“ Gamlebøvegen 49 Fjord
Fasadetegning (rammesøknad) av en liten bygning sett fra vest.
NewConstruction Other

Ny pumpestasjon for avløpsvann i Åsen bustadfelt, Nordfjordeid

Ny pumpestasjon for avløpsvann oppføres på eiendommen 37/3 i Åsen bustadfelt, Nordfjordeid. Bygget har et bebygd areal …

Stad
🏗️
Extension Other

Oppføring av brannførebygg i Eltvikevegen 240

Ny oppføring av et brannførebygg ved eiendommen i Eltvikevegen 240. Bygget skal fungere som et fysisk tiltak for å forh…

πŸ“ Eltvikevegen 240 Stad
🏠
Extension Enebolig

Tilbygg og fasadeendring på enebolig, Hovedveien 36

Ny tilbygg på enebolig i Hovedveien 36 med tilhørende fasadeendringer. Prosjektet omfatter utvidelse av boligens areal …

πŸ“ Hovedveien 36 Nordkapp
🏡
Extension Fritidsbolig

Tilbygg, fasadeendring og bod med terrasse på Langenesøyni 3

Tilbygg til eksisterende fritidsbolig med tilhørende fasadeendringer, samt oppføring av en frittstående bod og terrasse…

πŸ“ Langenesøyi 3 Bygland
🏡
VerticalExtension Fritidsbolig

Påbygg av badstue og bad i fritidsbolig, Sarnesveien 40

Påbygg av en badstue på eksisterende fritidsbolig samt omgjøring av eksisterende badrom. Prosjektet innebærer utvidelse…

πŸ“ Sarnesveien 40 Nordkapp
🏢
Extension Leilighetsbygg

Loftsombygging med fasadeendringer i Storgata 8B

Ombygging av loftsetasje i et eksisterende leilighetsbygg med tilhørende fasadeendringer. Prosjektet innebærer endringe…

πŸ“ Storgata 8B Nordkapp
Et 3D-situasjonsbilde som viser en tegnet bygning med tak og fundament.
Extension Other

Tilbygg lagerbygg på Eidsnesvegen 7, Leirvik

Ny tilbygg på 83 m² til eksisterende lagerbygg i Eidsnesvegen 7, Leirvik. Tilbygget er en utvidelse av lagerarealet med…

πŸ“ Eidsnesvegen 7 Hyllestad
🏗️
VerticalExtension Other

Oppsett av balkong i Rådhusgata 17

Ny balkong skal monteres på eksisterende bygning i Rådhusgata 17. Balkongen vil være en utvendig konstruksjon festet ti…

πŸ“ Rådhusgata 17 Nordkapp
🏗️
Demolition Other

Riving av havnelager og bølgedemperkai på Holmen 2

Prosjektet omfatter full riving av et eksisterende havnelager og tilhørende bølgedemperkai på eiendommen Holmen 2. Arbe…

πŸ“ Holmen 2 Nordkapp
Situasjonsplan som viser tomtens beliggenhet i forhold til nabolag, veier (Ålfjordvegen) og vann. Planen inneholder også eiendomsnummer, mål og en stempel.
NewConstruction Other

Ny nettstasjon med kabelfremføring i Åfjordvegen 866, Sørbøvåg

Ny frittstående nettstasjon på 7,36 m² med dimensjoner ca. 1,9 x 1,15 x 2,4 meter plassert på eiendom gnr. 32 bnr. 26 i…

πŸ“ Åfjordvegen 866 Hyllestad
3D-visualisering (rendering) av en enebolig sett fra to ulike vinkler (fra siden og fra fronten).
ChangeOfUse Tomannsbolig

Bruksendring og fasadeendringer på tomannsbolig, Nordre Strandvei 63

Bruksendring av loftareal fra tilleggsdel til hoveddel i en tomannsbolig med totalt 186,8 m² BRA fordelt på to etasjer.…

πŸ“ Nordre Strandvei 63 Færder
Fotografi av en liten hytte med grønt tak ved vannet, sett fra vannet mot land.
NewConstruction Other

Ny flytebrygge med landgang ved Bøfjordvegen 618, Leirvik

Ny flytebrygge på 15 m² med dimensjoner 6 meter lengde og 2,5 meter bredde, samt landgang på 6 meter lengde og 1 meter …

πŸ“ Bøfjordvegen 616 Hyllestad
Tegning som viser et tverrsnitt (snitt A-A) gjennom en bygning (Boregrop C) med angitte høyder, grunnkonstruksjon og nivåer.
Other Other

Etablering av overføringsledning for avløp i Løken 166, Eidfjord

Prosjektet omfatter etablering av en ny overføringsledning for avløp fra Maurset renseanlegg til eksisterende avløpsnet…

πŸ“ Løken 166 Eidfjord